症例写真

症例写真

目の下、頬

若返り 70代 / 女性
施術内容
プレミアムPRP皮膚再生療法

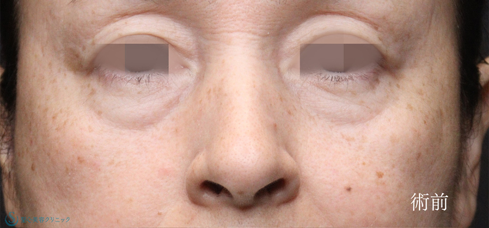
目の下のくまと、右側は頬部にもたるみとふくらみがあり、段差が目立つのを気にされていました。

プレミアムPRP皮膚再生療法_Before
Before
プレミアムPRP皮膚再生療法_After
After
少しくま部分の凹みがでてきましたが、処置前よりは浅い状態が継続しています。
プレミアムPRP皮膚再生療法の効果については、”加齢変化が止まるわけではないですが、時間が経ってもすっかり効果が0になることはありません”と説明しています。その様子がよくわかる症例かと思います。
横浜院 院長
横浜院 院長
佐々木 直美 医師

プレミアムPRP皮膚再生療法

処置方法 麻酔クリームおよびブロック麻酔後、極細の鋭針や鈍針などで慎重に注入。【成分】患者様自身の、PRP(多血小板血漿)に成長因子(ヒト線維芽細胞増殖因子)、塩化カルシウム。
リスク・副作用 浮腫、痛み、斑状出血、皮下結節、皮下色素沈着、アレルギー反応、異常増殖、悪性腫瘍の既往がある場合腫瘍の増大。
費用 290,000円(319,000円)

合計金額/290,000円(319,000円)

※()内は税込みの金額です。

※料金、リスク・副作用、施術内容は登録時点での情報となります。最新の情報はクリニックへお問い合わせください。

「プレミアムPRP皮膚再生療法」を
もっと知りたい方はこちら